Black man serving life for stealing hedge clippers granted parole
A Black man whose life sentence for stealing a set of hedge clippers in a 1997 burglary drew scathing criticism from the chief justice of Louisiana’s Supreme Court was granted parole Thursday.
A Black man whose life sentence for stealing a set of hedge clippers in a 1997 burglary drew scathing criticism from the chief justice of Louisiana’s Supreme Court was granted parole Thursday.
Boy allegedly steals school bus, leads police on street chase before crashing
An 11-year-old Louisiana boy was taken into custody by police on Sunday, after stealing a school bus and leading officers on a chase, which ended in a crash.
An 11-year-old Louisiana boy was taken into custody by police on Sunday, after stealing a school bus and leading officers on a chase, which ended in a crash.
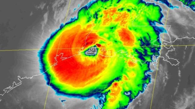
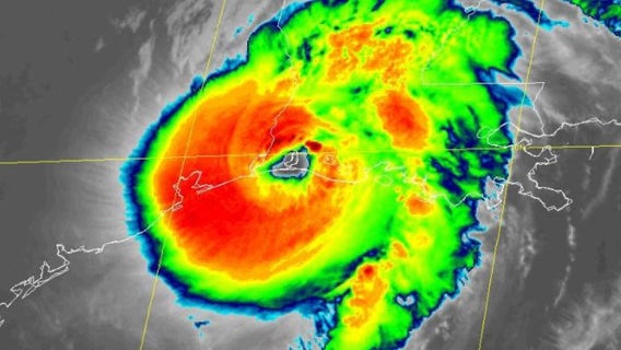
Hurricane Delta makes landfall on southwestern coast of Louisiana
Hurricane Delta is spinning across the Gulf of Mexico toward an expected landfall in coming hours along the U.S. Gulf Coast.
Hurricane Delta is spinning across the Gulf of Mexico toward an expected landfall in coming hours along the U.S. Gulf Coast.
Louisiana priest arrested for alleged threesome on church altar: report
A Louisiana priest who was arrested for obscenity last week was allegedly caught having sex with two dominatrices on the altar of his church, court documents revealed, according to reports.
A Louisiana priest who was arrested for obscenity last week was allegedly caught having sex with two dominatrices on the altar of his church, court documents revealed, according to reports.
'It’s scary as h---': Louisiana braces for Hurricane Delta
Louisiana residents still recovering from the devastation of a powerful hurricane that hit less than two months ago are bracing themselves for another blow — this time from Hurricane Delta.
Louisiana residents still recovering from the devastation of a powerful hurricane that hit less than two months ago are bracing themselves for another blow — this time from Hurricane Delta.
New Orleans officer accused of molesting teen whose sex assault he was investigating, report says
A New Orleans police officer is behind bars, accused of molesting a teenage girl while he was investigating a separate sexual assault case in which she was the victim.
A New Orleans police officer is behind bars, accused of molesting a teenage girl while he was investigating a separate sexual assault case in which she was the victim.
Tropical Storm Beta expected to make landfall late Monday
Parts of Texas and Louisiana are bracing for flooding and damaging storm surge as Tropical Storm Beta slowly works its way into a part of the country that's already been drenched and battered during a busy hurricane season.
Parts of Texas and Louisiana are bracing for flooding and damaging storm surge as Tropical Storm Beta slowly works its way into a part of the country that's already been drenched and battered during a busy hurricane season.
Hurricane Sally shifts east; dangerous storm surge expected along Gulf Coast
Flooding has already begun in areas outside of New Orleans. The tidal surge pushed water onto roadways, lawns, and docks in parts of coastal Mississippi.
Flooding has already begun in areas outside of New Orleans. The tidal surge pushed water onto roadways, lawns, and docks in parts of coastal Mississippi.
'Huge rainmaker': Hurricane Sally threatens Gulf Coast with historic floods
Hurricane Sally is crawling toward the northern Gulf Coast at just 2 mph, a pace that's enabling the storm to gather huge amounts of water to eventually dump on land.
Hurricane Sally is crawling toward the northern Gulf Coast at just 2 mph, a pace that's enabling the storm to gather huge amounts of water to eventually dump on land.
Police: 3 brothers accused of raping 10-year-old girl; 1 is on the run
Police in Kenner, Louisiana, say three brothers have been accused of raping a 10-year-old girl after forcing their way into a bathroom where she was hiding.
Police in Kenner, Louisiana, say three brothers have been accused of raping a 10-year-old girl after forcing their way into a bathroom where she was hiding.
Sally strengthens into hurricane, Gulf Coast residents brace for high storm surge, flooding
Storm-weary residents of the U.S. Gulf Coast are preparing for a new weather onslaught as Tropical Storm Sally churns toward them.
Storm-weary residents of the U.S. Gulf Coast are preparing for a new weather onslaught as Tropical Storm Sally churns toward them.
Oldest living WWII veteran celebrates 111th birthday
A man considered to be the nation's oldest living World War II veteran celebrated his 111th birthday this weekend.
A man considered to be the nation's oldest living World War II veteran celebrated his 111th birthday this weekend.
11-year-old boy accused of killing 39-year-old relative in Louisiana
The boy was arrested Sept. 7 on a charge of second-degree murder, authorities said.
The boy was arrested Sept. 7 on a charge of second-degree murder, authorities said.
Residents worry about help in aftermath of Hurricane Laura
So far 18 deaths in Texas and Louisiana have been attributed to the storm; more than half of those people were killed by carbon monoxide poisoning from the unsafe operation of generators.
So far 18 deaths in Texas and Louisiana have been attributed to the storm; more than half of those people were killed by carbon monoxide poisoning from the unsafe operation of generators.
Tropical Depression Laura still dangerous as it moves through Mid-Mississippi Valley; death toll climbs to 11
The remnants of Hurricane Laura are unleashing heavy rain hundreds of miles inland from a path of death and destruction left along the northwest Gulf Coast.
The remnants of Hurricane Laura are unleashing heavy rain hundreds of miles inland from a path of death and destruction left along the northwest Gulf Coast.
Hurricane Laura topples Louisiana Confederate monument weeks after officials voted to keep it
The Calcasieu Parish Police Jury had voted just weeks prior to leave the South’s Defenders Monument on the grounds of the courthouse.
The Calcasieu Parish Police Jury had voted just weeks prior to leave the South’s Defenders Monument on the grounds of the courthouse.
‘Houses that are totally gone’: 4 dead as Tropical Storm Laura exits Louisiana, leaving wake of destruction
One of the strongest hurricanes ever to strike the U.S. pounded the Gulf Coast with wind and rain early Thursday morning, but Laura rapidly weakened and was downgraded to a tropical storm by afternoon.
One of the strongest hurricanes ever to strike the U.S. pounded the Gulf Coast with wind and rain early Thursday morning, but Laura rapidly weakened and was downgraded to a tropical storm by afternoon.
'Glass falling everywhere': Video, images show damage in the aftermath of Hurricane Laura
Laura pounded the Gulf Coast with heavy wind and torrential rain, unleashing a wall of seawater on cities in its path.
Laura pounded the Gulf Coast with heavy wind and torrential rain, unleashing a wall of seawater on cities in its path.
4 deaths caused by falling trees in Louisiana during Hurricane Laura
The governor of Louisiana says four people, including a 14-year-old girl and an 68-year-old man, were killed by falling trees as Hurricane Laura moved through the state.
The governor of Louisiana says four people, including a 14-year-old girl and an 68-year-old man, were killed by falling trees as Hurricane Laura moved through the state.
Louisiana sheriff to residents: ‘Write your name... and next of kin and put it in a ziploc bag in your pocket’
The Vermilion Parish Sheriff’s Office issued a mandatory evacuation and grim warning to residents choosing to ride out Hurricane Laura rather than evacuate.
The Vermilion Parish Sheriff’s Office issued a mandatory evacuation and grim warning to residents choosing to ride out Hurricane Laura rather than evacuate.



















